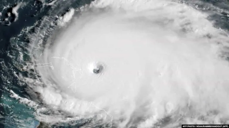
«Դորիան» փոթորիկը մոտենում է ԱՄՆ ափերին
Ջորջիայի, Ֆլորիդայի և Հյուսիսային Քարոլինայի նահանգապետերը երեկ պարտադիր տարհանման կարգադրագրեր են արձակել ամերիկյան այդ նահանգներին «Դորիան» փոթորկի մոտենալու պատճառով։
Ատլանտյան օվկիանոսից եկող փոթորիկը արդեն հասել է 5-րդ կատեգորիայի ուժգնության և կարող է ազդեցություն թողնել միլիոնավոր մարդկանց վրա։


















































Ո՞ւմ է ուզում ԱԺ նախագահ դարձնել Փաշինյանը
Արամ Ա Վեհափառը քննարկել է Լիբանանում ստեղծված իրավիճակն ու հայ համայնքի դրությունը
Հռիփսիմե Հունանյանը հրաժարական է ներկայացրել ԱԺ Առողջապահության հարցերի հանձնաժողովի նախագահի պաշտոն...
Հունվարը 27-ը սահմանվեց Հայրենիքի պաշտպանության համար զոհվածների հիշատակի օր. ՀՀ Նախագահը ստորագրել ...
TRIPP նախագծի շրջանակում մենք նոր տրանսպորտային միջանցք կստեղծենք. Ալիև
Եվրախորհրդարանի շենքի մոտ զանգվածային բողոքի ցույցեր են տեղի ունեցել
Ես նրանց կջնջեմ երկրի երեսից, եթե uպառնալիքները շարունակվեն. Թրամփն՝ Իրանին
Վաշինգտոնը և Կիևը Դավոսում չեն ստորագրի Ուկրաինայի հետպատերազմյшն վերականգնման վերաբերյալ 800 միլիար...
Հրապարակվել է հազար խոշոր հարկատուների ցանկը. վճարված գումարները կազմել են ավելի քան 1 տրլն 946 մլրդ...
Իրանի վերաբերյալ ԵՄ արտաքին գործերի խորհուրդը նոր որոշումներ կկայացնի